Italiano
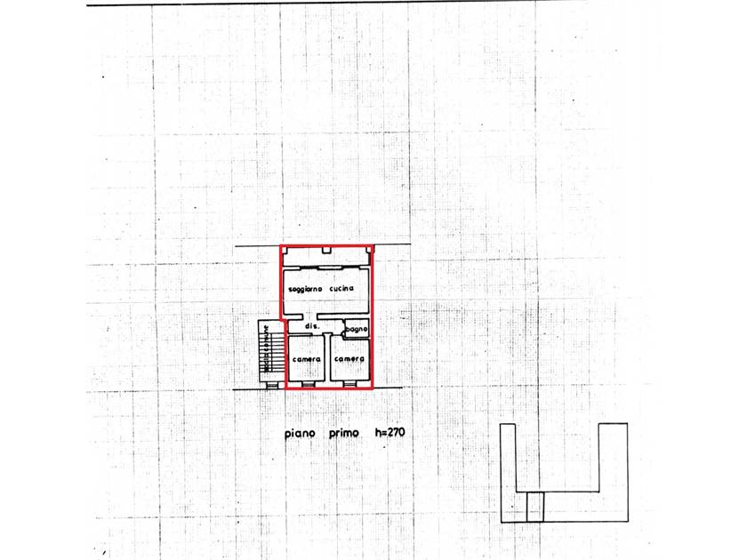
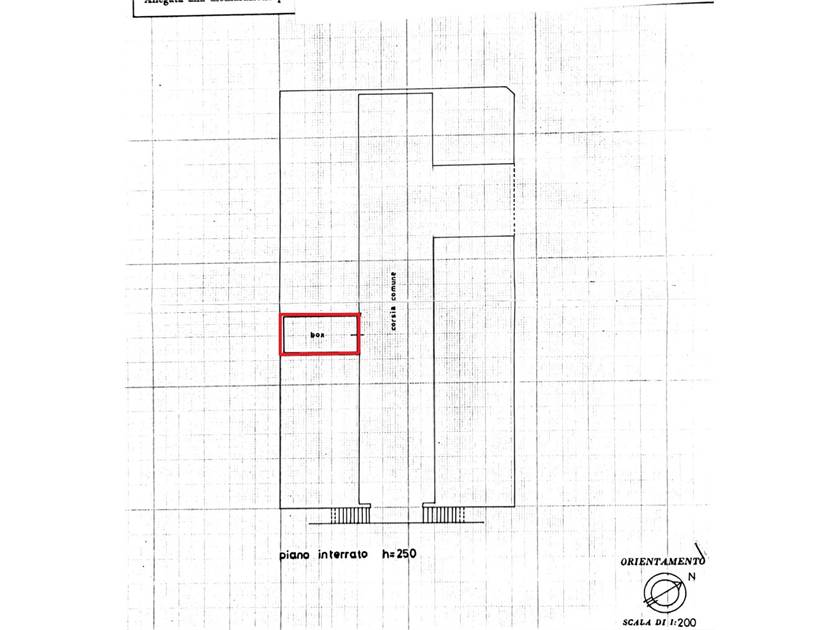
2 Camere 1 Bagni 1 Box/Posti auto 75 m2
Caratteristiche principali
Codice
V000870
Prezzo
134.000 EUR
Spese condominiali
550 EUR
Classe
VA
Locali
3
Altre caratteristiche e accessori
Stato Immobile
Ottimo
Lati Liberi
2
Tipo Soggiorno
Soggiorno
Tipo Cucina
A Vista
Riscaldamento
Autonomo
Tipo Riscaldam.
Caldaia
Tipo Impianto
Radiatori
Infissi
Legno Doppio Vetro
Serramenti
Ottimo
Pavim. Giorno
Ceramica
Pavim. Notte
Ceramica
Pavim. Cucina
Ceramica
Pavim. Bagno
Ceramica
Accessori
Aria Condizionata, Cancello Elettrico, Doppi Vetri, Impianto Satellitare, Porta Blindata
Alzate: in piccola palazzina situata a pochi passi dal centro paese, propongo questo luminoso appartamento collocato al 1° ed ultimo piano composto da: ingresso, soggiorno - cottura con ampia balconata, bagno con doccia, camera matrimoniale e cameretta. Completa la proprietà un box singolo situato al piano interrato. La casa si presenta in OTTIME CONDIZIONI e non ci sono lavori da fare. TERMOAUTONOMO. Certificazione energetica in fase di richiesta. € 134.000. PER INFORMAZIONI: PALAZZOLO GABRIELE 3333910808. Seguiteci su Facebook alla pagina: Garma Immobiliare di Palazzolo Gabriele. Instagram: gabriele.palazzolo4. Sito internet:www.garmaimmobiliare.it
Cookie preference